384 PINE StreetTurbotville, PA 17772


Mortgage Calculator
Monthly Payment (Est.)
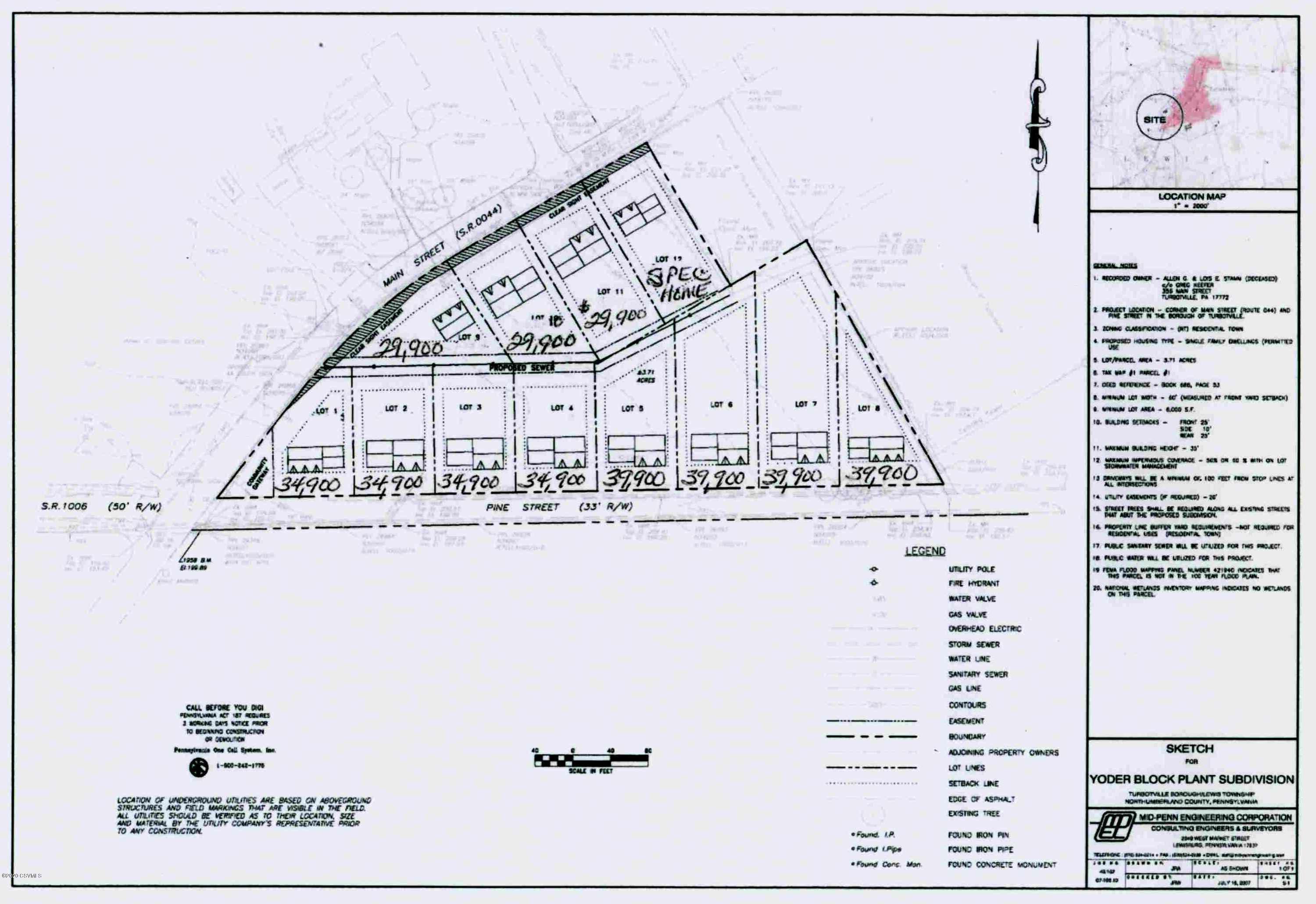
$1591 of only 3 lots left in popular Wellington Estates. Pleasant View of the countryside, one block onlyly blocks to downtown Turbotville. Public water, public sewer, and natural gas. Level lot ready for your home. Buyer to install borough approved sidewalk at buyers expense on Main Street. Convenient to Rt. 54, Rt. 44, I-180 and I-80 for access to surrounding employment centers. Choose your own builder. Lot 1 of Wellington Estates. This lot may require a sewage pump due to the elevation of the sewer line.
| 6 years ago | Listing updated with changes from the MLS® | |
| 6 years ago | Status changed to Active | |
| 6 years ago | Listing first seen on site |
Listing information is provided by Participants of the Central Susquehanna Valley Board of Realtors MLS. IDX information is provided exclusively for personal, non-commercial use, and may not be used for any purpose other than to identify prospective properties consumers may be interested in purchasing. Information is deemed reliable but not guaranteed. Copyright 2026, Central Susquehanna Valley Board of Realtors MLS.
Data last updated at: 2026-03-15 02:37 PM UTC




